Greenhead Lane, Dalton, Huddersfield, HD5

OIRO £150,000 | Available

Land (Residential) For Sale

or call 01484 548126
Standout Features

Property Description

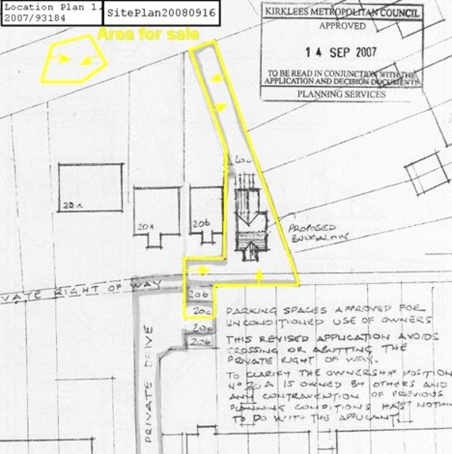
New to the Market with Whitegates is this rare opportunity to purchase a plot of land with planning permission for a three-bedroomed detached property. Application Number: 2025/62/92023/W

Application Number: 2025/62/92023/W New to the market with Whitegates is this rare and exciting opportunity to acquire a plot of land with planning permission granted for a three-bedroom detached family home. Situated in a highly convenient and desirable location, the plot is ideally placed for local schools, commuter routes, and everyday amenities, making it an excellent choice for families, professionals, and developers alike. The approved planning consent and architectural plans, which are included within the listing, outline a thoughtfully designed detached property offering generous and well-balanced accommodation. The proposed layout comprises two reception rooms, a conservatory, and a separate kitchen, providing flexible living and entertaining space. To the first floor, the plans include three bedrooms, with the principal bedroom benefitting from an en-suite shower room, along with a main family bathroom. The plot size allows for the provision of off-street parking and a private external garden, enhancing the appeal of the proposed home. While planning permission has been granted for the current design, there may be scope to amend or tailor the property to suit individual needs and preferences, subject to the necessary planning approvals. This represents a fantastic opportunity to purchase a development plot with planning already in place, saving both time and expense, and allowing a buyer to progress quickly toward creating a well-sized detached home in a sought-after location. The plot is available to view at any time from the roadside. For further details, to register your interest, or to discuss offers, please contact Whitegates to arrange a conversation with a member of our team.


Additional Information
Tenure:
Freehold

Rooms
Land Information
Please note that the land includes the house plot and benefits from a right of way over the drive leading to the plot. The drive is a shared private drive. Title Number: WYK890720

Mortgage calculator

Calculate Your Stamp Duty
£
Results
Stamp Duty To Pay:
Effective Rate:
Tax Band % Taxable Sum Tax

Greenhead Lane, Dalton, Huddersfield, HD5

Struggling to find a property? Get in touch and we'll help you find your ideal property.